Día a Día News
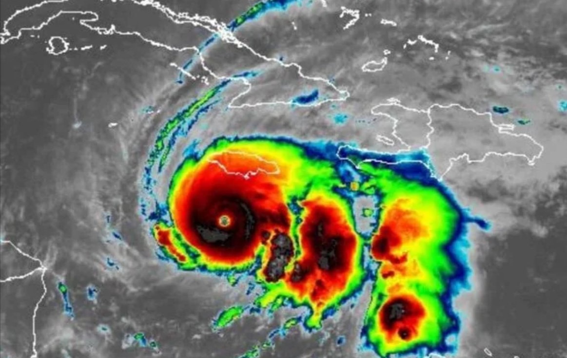
El huracán ‘Melissa’ se fortaleció la madrugada de este lunes hasta convertirse en un ciclón de categoría cinco, la máxima en la escala de Saffir-Simpson, informó el Centro Nacional de Huracanes (CNH) de Estados Unidos. El fenómeno se desplaza por el Caribe y podría generar condiciones potencialmente catastróficas en Jamaica.
Actualmente, ‘Melissa’ presenta vientos sostenidos de 260 kilómetros por hora y se encuentra a unos 200 kilómetros de Kingston, la capital jamaicana, y a aproximadamente 500 kilómetros de Guantánamo, Cuba, según el CNH.
Los meteorólogos señalan que el ojo del huracán pasará cerca de Jamaica antes de avanzar hacia el sureste de Cuba durante la noche del martes y, posteriormente, aproximarse al archipiélago de Bahamas.
El gobierno de Jamaica ha ordenado la evacuación de habitantes en siete comunidades consideradas de alto riesgo por posibles inundaciones. Además, el Aeropuerto Internacional de Sangster ha suspendido temporalmente sus operaciones como medida preventiva.
Organizaciones internacionales de ayuda, incluida la ONU, han activado recursos para responder rápidamente ante emergencias. UNICEF advirtió que unos 1,4 millones de niños en la región podrían verse afectados por los efectos del huracán, y que otros países del Caribe, como Haití, también podrían experimentar impactos significativos.
